
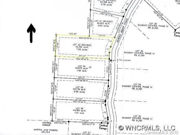
Deep lot on desirable ridge of Shumont Estates. In neighborhood of upscale homes and incredible mountain views and of Lake Lure. Community water. Full amenities of Rumbling Bald Resort to include: 2 golf courses, tennis courts, swimming pools, mini golf, lake access, restaurants, 24-hour security. Expired 4 BR septic on file. Partially owned by listing broker.
Listings courtesy of Canopy MLS as distributed by MLS GRID. Based on information submitted to the MLS GRID as of 2024-11-15 00:00:00. All data is obtained from various sources and may not have been verified by broker or MLS GRID. Supplied Open House Information is subject to change without notice. All information should be independently reviewed and verified for accuracy. Properties may or may not be listed by the office/agent presenting the information. Some IDX listings have been excluded from this website.
Last Updated: . Source: CANOPY
Provided By
Listing Agent: Daryl Hardin (#CARthomdha)
Listing Office: Mountain Partners, LLC (#CARNCM17721)
Provided By (Buyer)
Buyer's Agent: Daryl Hardin (#CARthomdha)
Buyer's Office: Mountain Partners, LLC (#CARNCM17721)
